Biokurash
Biokurash
Biosifat Respublika Markazi
Asosiy sahifa
Tashkilot
Tashkilot haqida
Rahbariyat
Xodimlar
Hududiy mas'ullar
Ilmiy Kengash
Qonun va qarorlar
Biologik mahsulotlar
Zararkunandalar
Statistika
Biolabaratoriya
shaxsiy kabineti
Mas'ul xodimlar
kabineti
Biokurash
Biosifat Respublika Markazi
Asosiy sahifa
Tashkilot
Tashkilot haqida
Rahbariyat
Xodimlar
Hududiy mas'ullar
Ilmiy Kengash
Qonun va qarorlar
Biologik mahsulotlar
Zararkunandalar
Statistika
Aloqa ma'lumotlari
"BIOSIFAT" resbublika markazi. manzil: Toshkent viloyati, Qibray tumani, Bobur ko‘chasi 4b uy
biosifat@karantin.uz
+998 71 203 32 22
O'simliklar
Paxta
Paxta
Hasharotlar monitoringi
Беда ёки акация шираси (Aphis (medicaginis) craccivora)
Batafsil
Беда қандаласи (Adelphocoris lineolatus)
Batafsil
Гамма тунлами (Autogrаpha gamma)
Batafsil
Ғўза оққаноти (Bemisia tabaci)
Batafsil
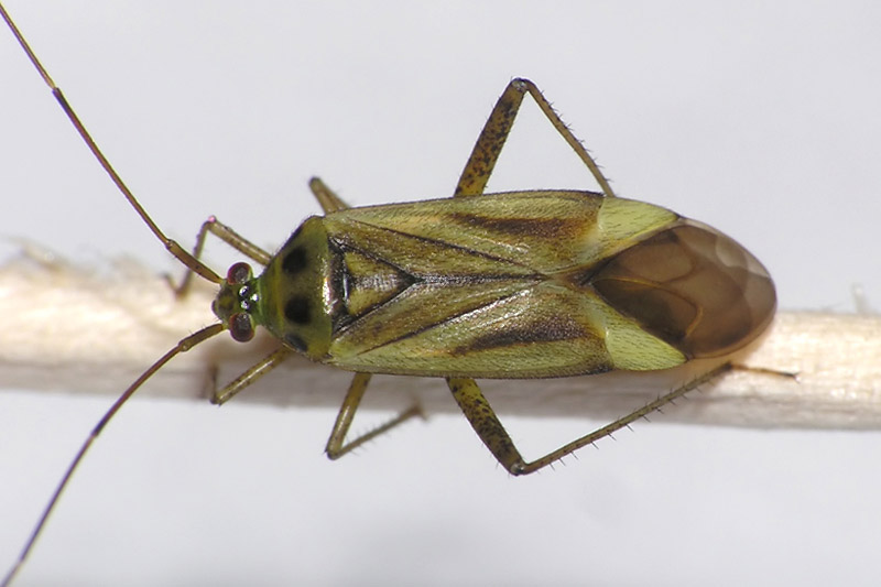
Ғўза қандаласи (Creontiades pallidus)
Batafsil