Беда қандаласи (Adelphocoris lineolatus) Hasharotlar monitoringi

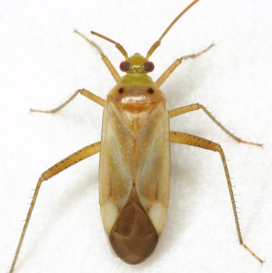
Беда қандаласи (Adelphocoris lineolatus) - Rasm 1
Беда қандаласи (Adelphocoris lineolatus) - Rasm 2
Беда қандаласи (Adelphocoris lineolatus) - Rasm 3

Umumiy ta'rif

Қандалалар ёки яримқаттиқ қанотлилар (Himiptera) туркумининг миридлар (Miridae) оиласига мансуб ҳашаротлар. Бу қандала бедага ёш пояларнинг учлари, барг бандлари, айниқса, гул ва ғунчалардаги ширани сўриш йўли билан зарар етказади. Қандала тушган ғунча ва гулларнинг анчаси тўқилиб кетади, пояларда гул ёнликли гулбандларгина қолади. Беда қандаласи асосан уруғлик бедага зарар етказади. Бу зараркунанда шикастлаган ўсимликларнинг сони 65 ва ҳатто 90 % гача етиши мумкин. Беда қандаласи нисбатан йирик ҳашарот бўлиб, у миридларга хос чўзиқ шаклга эга, етук зотнинг бўйи 7,2-10,0 мм тенг, личинкалари эса, 5 та ёшин бошдан кечириб катталиги 1,5 ммдан 5,5 ммгача етади. Личинкаларнинг ранги оч яшил бўлиб, етук зотлари эса сарғиш-яшил, қанотлари ўзига хос тусга эга бўлиб, олд кўкраги устида 2 та учбурчак қорамтир доғи яққол кўриниб туради. Мўйловлари узун ва тўрт бўғиндан иборат бўлиб, биринчиси калта ва йўғонроқ бўлади. Қанотлари личинкаларининг 3 ёшидан бошлаб шакллана бошлайди. Мирид қандалаларни бўртиб чиққан мураккаб қўнғир-қизил кўзларидан ажратса бўлади. Одатда, беда қандаласи ўз номи билан кўпроқ беда ва бошқа дуккакли ўсимликларга мослашган ҳашарот бўлиб, ғўзага вақти-вақти билан кўчиб ўтиб зарар етказади.

Agrotexnik qarshi kurashish chorasi

Агротехник кураш чоралари куздан бошланиб, ерни шудгорлаш, қишки яхоб сувини бериш, дала атрофи ва ариқ-зовурлардаги бегона ўт қолдиқларини йўқотишдан иборат.

Biologik qarshi kurashish chorasi

Қандалаларнинг кичик ёшдаги личинкалик даврида олтинкўз ва хонқизи энтомофаглари қисман самара беради.

Kimyoviy qarshi kurashish chorasi

Қандалаларга қарши курашда кимёвий инсектицидларни ишлатиш энг самарали ва кам чиқимли ҳисобланади. Мавжуд инсектицидларнинг кўпчилиги системали (ўсимлик ичига сингиб, тўқималарида силжиш қобилияти) ёки трансламинар (барг тўқималарида заҳарли уялар ҳосил қилиш) имкониятига эга. Ўрта толали ғўзаларда 100 туп ғўзада 80-100 дона, ингичка толали ғўзаларда 100 туп ғўзада 60-80 дона қандала аниқланганда ҳашаротларга қарши юқори даражада самарадорликка эга бўлган препаратларни қўллаш мақсадга мувофиқ бўлади. ALPGOR 40 эм. к. -1,0 л/га; ИМИДАКЛОПРИД ОРИГИНАЛ 35% сус.к,- 0,18 л/га.(Имидклоприд). МЕБРАСИ 20% н. кук. Камелот 20% н. кук.-0,2 кг/га. (Ацетамиприд). Энджео 24,5% сус.к, 0,15-0,2 л/га.ПИЛИГРИМ 24,7% сус.к,- 0,2 л/га (лямбда-циголотрин+тиаметоксам) ни тавсия этиш мумкин.